Domingo, 03 de maio de 2026

Após causar apagão na Flórida, nos Estados Unidos, furacão Ian vira tempestade tropical

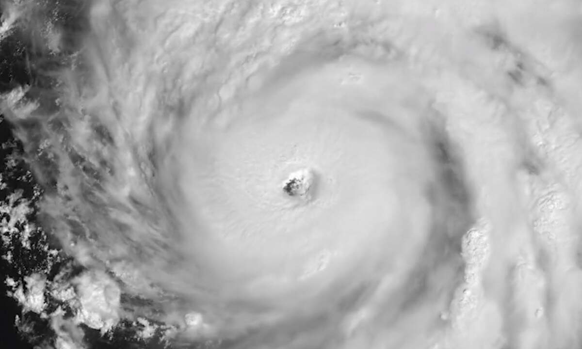
O furacão Ian, que causou inundações no Sudoeste da Flórida e deixou quase 2 milhões de pessoas sem luz no Estado norte-americano na quarta-feira (28), perdeu força nesta quinta-feira (29) e se tornou uma tempestade tropical, segundo o Centro Nacional de Furacões (NHC, na sigla em inglês).

Após passar por Cuba, o furacão foi elevado à categoria 4 na quarta e tocou o solo duas vezes na Flórida, na Ilha de Cayo Costa, perto de Fort Myers, e na cidade de Punta Gorda. Os ventos chegaram a 250 quilômetros por hora.

O governador da Flórida, Ron DeSantis, afirmou que a intensidade do furacão já passou do seu pico, mas que o Estado ainda deve ser atingido e que haverá mais estragos. Moradores da região, principalmente de Charlotte, Hillsborough, Lee, Levy, Manatee, Pasco, Pinellas e Sarasota, foram obrigados a deixar as as suas casas para se proteger.

Não há informações sobre vítimas em decorrência do fenômeno nos EUA. A Disney fechou todos os parques do grupo na Flórida por pelo menos dois dias, a partir de quarta-feira.

Na terça (27), em sua passagem por Cuba, o furacão deixou toda a ilha sem energia elétrica e provocou pelo menos duas mortes, além de muitos estragos e inundações.

Compartilhe esta notícia:

Voltar Todas de Mundo

Parcela de setembro do Auxílio Brasil é paga aos beneficiários com Número de Inscrição Social com final 9
Fiscais apreendem mais de meia tonelada de alimentos impróprios para o consumo na Região da Campanha
Pode te interessar
Baixe o app da TV Pampa App Store Google Play